


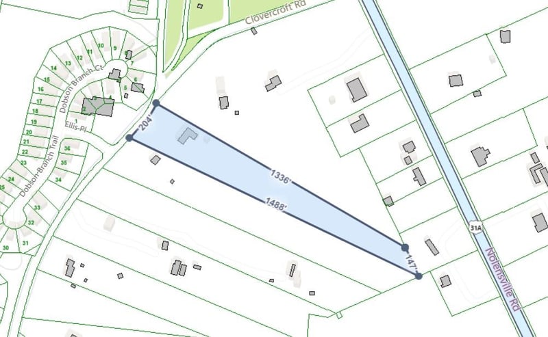
$5,062,500
ACTIVEJeff Pate, CCIM, 6155255719, Keller Williams Realty Nashville/Franklin
Realtracs MLS as distributed by MLS GRID, MLS#: RTC2970252

Realtracs MLS #RTC2970252

Based on information submitted to the MLS GRID as of 2026-04-15. All data is obtained from various sources and may not have been verified by broker or MLS GRID. Supplied Open House Information is subject to change without notice. All information should be independently reviewed and verified for accuracy. Properties may or may not be listed by the office/agent presenting the information. Some IDX listings have been excluded from this NestingInNashville.com